2014.06.01 獨特的《輕海紋白蝶》--- 寄主食物單食鐘萼木的蝴蝶
( 輕海紋白蝶 --- 只取食鐘萼木為寄主食物的蝴蝶 )
冰河孑遺植物「鐘萼木」 ~ 是屬於珍寶般的植物
據統計鐘萼木全台僅約千餘株
並且只生長於北台灣的迎風坡面
喜歡潮濕的氣候
個人曾經在猴硐觀察過兩次鐘萼木開花的景致
也在陽明山區見過鐘萼木及其花朵
而傳說中有一種蝴蝶 ~ " 輕海紋白蝶 "
則只取食鐘萼木的嫩葉
所謂 " 傳說中 "就是因其極為少見...
之前在另一處東北角地區也發現了鐘萼木的蹤跡
這是登山不設限的好處之一
常常能意外發現美麗新事物
而所謂“塞翁失馬、焉知非福”
前一陣子因為近期的老毛病 ~ 太晚出門
導致一趟山行所計畫之目標沒有完整走完
所以才有機會再安排一次深入古道的行程
而再次回到此處進行最後一顆遺珠之踏查
行走山徑其間
沿途發現一些好像普通的白粉蝶在週遭飛舞
可是直覺牠的體型略大
在還沒有確定"牠是誰"之前
已先嘗試對牠們對焦拍照
但由於牠們的飛行及棲息之習性
實在也很不容易拍下清晰的照片
雖然隨即確定牠們應該就是只取食鐘萼木的蝴蝶 ~ 輕海紋白蝶
但依然在山行途中的一番努力之下
只能勉強拍下了一些照片
不管滿意與否
這到底也是一份機緣
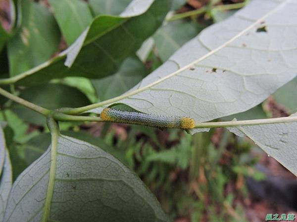
而且也親眼觀察到了輕海紋白蝶的幼蟲
算是完整觀察到了據說極為少見的輕海紋白蝶之幼蟲與成蝶
其它鮮活的輕海紋白蝶飛舞生動印象
就留在腦海的記憶中了...
【輕海紋白蝶】 粉蝶科
屬中型粉蝶
翅長約 2.7~3.5 公分
外型乍看很像營養狀況很好的紋白蝶
但其差別在於 ~
本種體型較其他紋白蝶略大
後翅腹面為濃黃色
前翅背面中室端有一小黑點
雄蝶前翅背面亞外緣有兩個黑點
後翅無任何花紋
而雌蝶前翅背面中央有明顯橫帶
連貫亞外緣之一個黑點集中室端的小黑點
雌蝶後翅背面外緣有三角形黑斑、雄蝶則無
其寄主食物為單食性
只取食本身就是珍寶的鐘萼木
由於鍾萼木分佈狹窄
所以本種較可能見到的地方就與鍾萼木生長的地方息息相關
大致在陽明山、猴硐、金瓜石、大武崙、新店及二格山區較為易見
( 高高停歇在樹冠上的輕海紋白蝶 )
( 飛行中的輕海紋白蝶 )
( 通常只能拍到這樣子的輕海紋白蝶身影 )
( 仰望高度七百多公尺的草山 --- 此山已登臨過許多回了 )
( 三隻彼此追逐的輕海紋白蝶 --- 只能抓到模糊的快速飛行身影 )
( 鐘萼木 )
( 一般遊客見不到的半平山之另一面 )
( 登頂目標山頭基石後回程所拍攝的輕海紋白蝶幼蟲 )
( 輕海紋白蝶的幼蟲 )
﹝本篇選取照片數:18 張﹞


















留言列表
